2024年5月22日,美国麻省理工学院机械工程系赵选贺教授团队在Nature期刊发表题为“Adhesive anti-fibrotic interfaces on diverse organs”的研究论文,团队博士后吴晶晶为论文第一作者,Hyunwoo Yuk博士、赵选贺教授为论文共同通讯作者。

吴晶晶,美国麻省理工学院机械工程系博士后,合作导师:赵选贺教授;专注于生物黏附材料应用于软组织的缺损修复方向的基础研究,以及开发生物粘附材料抑制组织-植入材料界面的纤维化形成,并探索其免疫机制;2019年博士毕业于william威廉英国国家纳米药物工程技术研究中心,导师:杨祥良教授/万影教授;博士期间于德国埃尔朗根-纽伦堡大学材料科学与工程系联合培养,导师:Aldo R. Boccaccini教授。
赵选贺,美国麻省理工学院机械工程系教授;2003年本科毕业于天津大学;2009年博士毕业于哈佛大学,导师:锁志刚院士;2010年加入杜克大学机械工程与材料科学系任助理教授;2014年加入麻省理工学院。
赵选贺教授课题组旨在利用材料、力学和生物技术等跨专业综合知识,推进人机接口(界面)的科学技术以应对健康与可持续性发展等领域的重大社会挑战,研究重点包括软体材料与设备的研究和开发,覆盖聚合物、水凝胶、生物粘合剂、生物电子学和医疗软体机器人等。
该研究证明,与非粘附性的植入物-组织界面相比,粘附性植入物-组织界面可降低炎性细胞浸润到粘附植入物-组织界面的水平,从而减轻纤维囊在不同动物模型(包括大鼠、小鼠、人源化小鼠和猪)中的形成。组织学分析表明,在体内使用12周后,粘附性植入物-组织界面在腹壁、结肠、胃、肺、心脏等多种器官上均未形成可观察到的纤维囊。此外,还进行了体外蛋白质吸附、多重Luminex测定、定量PCR、免疫荧光分析和RNA测序来验证该假设。还在活体大鼠模型中,利用带黏附界面的植入式电极实现了12周的长期双向电通信。这些研究发现可能为长期抗纤维化的植入物-组织界面提供了一种有前景的策略。

该研究证明了粘合界面不仅可以提供植入物与目标组织的机械整合,还能防止在植入物-组织界面形成可观察到的纤维囊。研究人员认为,黏附植入物与组织表面之间的保形界面整合可以减少炎症细胞(如中性粒细胞、单核细胞、巨噬细胞)浸润到粘附植入物-组织界面的水平,从而导致胶原沉积水平降低,减少纤维囊的长期形成。相比之下,传统的非黏附性植入物通常不能与组织表面形成保形整合,并吸引炎症细胞浸润到非黏附性植入物-组织界面,随后,纤维囊就会在非黏附性植入物-组织界面上形成。
研究人员制备的粘附性植入物由聚氨酯制成的模拟装置和粘合层组成,其中粘合层由共价交联的聚丙烯酸N-羟基琥珀酰亚胺酯和物理交联的聚乙烯醇之间的互穿网络组成。粘合层能使植入物与湿组织高度保形并稳定地结合。还进一步制备了非粘附性植入物,在植入前将相同的模拟装置和粘合层放入磷酸盐缓冲盐水浴中充分膨胀,通过在磷酸盐缓冲盐水中溶胀植入物,消除了其粘附性,同时保持其化学成分相同。
利用大鼠模型将粘附性和非粘附性植入物植入不同器官的表面,包括腹壁、结肠、胃、肺和心脏,最长可达84天。宏观观察表明,黏附和非黏附植入物在器官表面的植入部位均保持稳定。为了分析粘性和非粘性植入物的异物反应和纤维囊形成情况,对不同器官的原生组织、粘性植入物和非粘性植入物进行了组织学分析。
图1. 粘性抗纤维化界面

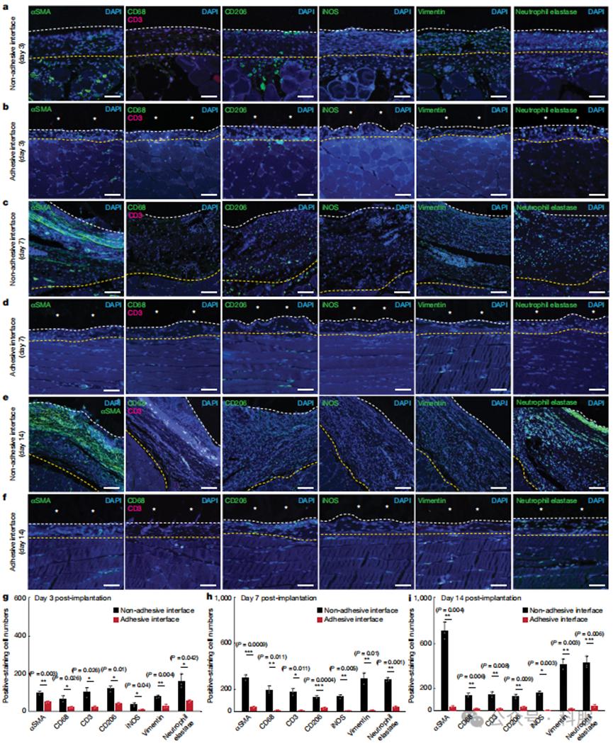
图2. 不同时间点粘附和非粘附植入物-组织界面的组织学分析

图3. 不同时间点粘附和非粘附植入物-组织界面的免疫荧光分析

图4. 粘附和非粘附植入物-组织界面的qPCR和Luminex分析

图5. 不同动物模型中的粘附抗纤维化界面
]
图6. 通过黏附抗纤维化界面进行的长期体内双向电通信
总之,该研究证明了黏附界面不仅能使植入物与目标组织实现保形机械整合,还能通过降低炎症细胞的浸润水平,有效缓解黏附植入物-组织界面上纤维囊的形成。该研究为长期抗纤维化植入物-组织界面提供了一种前景广阔的策略,并为未来研究提供了有关植入物-组织相互作用的有价值的见解。
以上内容来源于公众号“科服”推送《她,williamhill英国2019届校友、麻省理工学院博士后,一作新发Nature!》。据悉,吴晶晶2014年至2019年于william威廉英国生物制药工程专业攻读博士学位,2019年博士毕业,导师为杨祥良教授,万影教授。